选好房,就上幸福里找房
打开

“三改”推进贵阳发展!城市更新动态来了

贵阳网
贵阳网
4年前

2021年,贵阳“三改”工作全面启动。据悉,在未来三年城市更新计划中,将实施棚户区改造项目235个、老旧小区改造项目123个、背街小巷改造提升1106条的目标。回顾过去的一年,三改推动城市革新,逾90个棚改启动,未来城市发展有目共睹!

“三改”推进贵阳发展!城市更新动态来了

三改推动城市革新

复盘2021年贵阳棚改

据乐居贵阳不完全统计,2021全年棚改土地成功出让25宗,总成交面积逾180.07万平方米,总揽金约279.28亿元。

其中,南明区凭借着地化所、车水路、东站货场等10宗66.13平方米土地,揽金164.29亿元;

云岩区围绕人民大道、三马片区改造思路,已完成7宗共49.38万平方米土地出让,揽金66.64亿元。

“三改”推进贵阳发展!城市更新动态来了“三改”推进贵阳发展!城市更新动态来了

另据统计,2021年已有19个新棚改项目发布相关招标公告,具体情况如下:

“三改”推进贵阳发展!城市更新动态来了“三改”推进贵阳发展!城市更新动态来了

其中,经开区杨家山棚改项目、黔江华烽区域棚改项目、乌当区云上3号地块、医院地块、枣山路贵铁棚户区等均为劳务代办单位采购,预示着项目即将开始征收;

三马片区新建厂棚改项目则为挂牌勘界采购,预示着该地块或将进行挂牌出让;

而南明区兰草坝一期G(11)13号地块、经开区杨中棚户区即将进行施工改造阶段,未来将以崭新的“面貌”面世。

2021年,除去已成功出让的25宗地块,贵阳还有46宗地块进行规划公示。

其中,云岩区规划15宗、观山湖区规划9宗、白云区规划9宗、经开区规划8宗、乌当区规划2宗、南明区、花溪区、高新区规划各1宗;涉及面积约3726.66公顷。

云岩区以15宗地块规划位居第一;观山湖区和白云区以9宗规划地块并列第二。

“三改”推进贵阳发展!城市更新动态来了“三改”推进贵阳发展!城市更新动态来了

文昌阁单元地块:2021年7月召开会议,研究文昌阁单元民生路及周边片区步行街打造规划设计方案,而民生路或许会成为文昌阁单元首次进入改造的区域。

普天单元6宗地块:有1宗规划了48班人大附属学校,随着普天单元地块配套的人大附属学校建设,未来周边地块的开发也会随之加快脚步。

观山湖区、白云区:相继有9宗地块规划,但相比起来,观山湖区的地块较为优质。白云区尖山单元、白云区大山洞单元地块这两个地块最接近观山湖金融城区域,未来白云区的发展也有目共睹。

“三改”推进贵阳发展!城市更新动态来了

改善的是城市生态,加速的城市也是贵阳在成为宜居、宜发展的道路上,迈出了坚实的一步。旧改换新颜,贵阳的城市面貌——“高颜值”终将成为城市新名片,助力贵阳高质量发展,为“强省会”行动贡献力量。刚刚进入新的一年,贵阳多个区域就迎来了新的消息!

白云区城市更新指标出炉

确保到2023年完成棚改1.17万户

近日,白云区官微发布白云区高质量推进新型城镇化建设相关资讯。

据悉,白云区将继续扎实推进金东、大山洞、白沙关、刘庄等片区棚户区改造,确保到2023年完成棚户区改造1.17万户;系统推进朝晖花园等老旧小区改造,确保到2023年完成老旧小区改造0.68万户;坚持“一街一策”,着力提升背街小巷改造质量和品质提升,确保到2023年累计完成背街小巷改造112条。

全力推进鸡场片区一期、白金片区一期、大山洞片区一期、鸡场片区二期、粑粑坳片区、马鞍山片区、麦架片区、沙文片区等8个项目,打造建发央著、中海泉湖等项目,在环线以内构建5个10万人的城市功能板块。

白云区云中苑城市更新项目规划出炉

总建面22.84万方,共968户

1月7日,贵阳市自然资源和规划局发布白云区云中苑城市更新项目公示。公示显示该项目总建筑面积228480.87平方米,规划总户数968户。

“三改”推进贵阳发展!城市更新动态来了

据悉,云中苑城市更新建设项目位于白云区金苏大道与云环中路交叉口,申报单位为贵阳白云工业发展投资有限公司。该项目总用地面积72689.02平方米,其中居住用地比例为60.78%,商业服务业设施用地比例为39.22%,绿地面积为21981.5平方米,绿地率30.24%。

“三改”推进贵阳发展!城市更新动态来了“三改”推进贵阳发展!城市更新动态来了

项目总建筑面积228480.87平方米,计入容积率面积为178019.64平方米,分别为回迁安置房107115.62平方米,公建配套2240.06平方米,商业设施68663.96平方米。共16栋建筑,建筑密度为29.43%,容积率2.44,最高建筑高度为99.4米,最高建筑层数为21层。规划总户数968户,停车位1344个,其中1288个为室内平面车位,56个为室外停车位。

项目规划有6班幼儿园(小区东北侧)、社区卫生服务站(小区二期西侧)、农贸市场、青少年活动中心、体育运动场地、垃圾收集站等公建配套。

“三改”推进贵阳发展!城市更新动态来了“三改”推进贵阳发展!城市更新动态来了“三改”推进贵阳发展!城市更新动态来了

云岩区六广门棚改施工在即

总建面逾40万方,多项建设内容披露

1月5日,贵州省招标投标公共服务平台发布六广门体育文化综合体及周边棚户区改造项目(贵阳毛公馆故宫文物南迁存放旧址修缮工程)施工招标公告。

“三改”推进贵阳发展!城市更新动态来了

据悉,本次招标项目为六广门体育文化综合体及周边棚户区改造项目(贵阳毛公馆故宫文物南迁存放旧址修缮工程),施工已由贵阳市云岩区发展和改革局以关于《六广门体育文化综合体及周边棚户区改造项目》可行性研究报告的批复(云发改投资〔2018〕38号)批准建设,项目业主为贵阳云岩贵中土地开发基本建设投资管理集团有限公司,招标人为贵阳云岩贵中土地开发基本建设投资管理集团有限公司。

该项目位于贵阳市六广门,中华北路西侧、北京路南侧、环城北路东侧、永乐路北侧。总建筑面积404289.73平方米,建筑内容包括棚户区改造、商业建筑、体育综合建筑、足球场、文物古迹、公共服务设施等。本次招标为“贵阳毛公馆故宫文物南迁存放旧址修缮工程”的施工。

此次,招标范围为招标人提供的工程量清单、施工图及招标文件所示全部内容,计划工期240天。

“三改”推进贵阳发展!城市更新动态来了

据了解,该项目交通便利、临近中华北路、北京路、环城北路、永乐路、地铁一号线北京路站、二号线喷水池站、三号(在建中)黔灵山公园站;

周边较近范围内有实验小学、第七中学、第五中学、贵州医科大学附属医院、第五人民医院、西南中西医结合医院等医疗教育资源;

贵州省图书馆、银海元隆广场、大都汇购物中心等休闲购物场所;还有万科翡翠国际(建设中)、银杏小区(环北巷)、城市之光(环城北路)等住宅小区。

六广门体育文化综合体项目以改善城市环境品质为宗旨,坚持以民为本,综合发力,以高端体育、文化产业融合发展为导向,打造崭新的都市体育核心服务区。在规划上,项目追求最大程度发挥综合服务能力,将建设跑道、篮球场、平衡木、铅球场地、跳远场地、羽毛球场地、瑜伽馆、滑冰场等。

“三改”推进贵阳发展!城市更新动态来了

据官方公布的信息,目前六广门体育文化综合体及周边棚户区改造项目六广门地块已基本完成征收。

并于2020年 7月23日,发布六广门体育文化综合体及周边棚户区改造项目房屋拆运工程中标候选人公示。

“三改”推进贵阳发展!城市更新动态来了

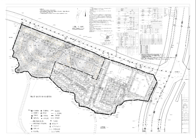
观山湖干井棚户区改造项目规划公示

总建面49.44万方

1月13日,贵阳市自然资源和规划局发布关于观山湖区干井棚户区改造项目项目建设工程规划许可行政审批批前公示。

“三改”推进贵阳发展!城市更新动态来了

据悉,本次项目为观山湖区干井棚户区改造,建设单位为贵阳观山湖投资(集团)观投置业有限公司,该项目位于观山湖区金华镇干井村。

此次,项目总用地面积214719.10平方米(其中可计容用地面积:120122.85平方米,不可计容用地面积:94596.25平方米)。地块性质以居住用地为主,绿地面积为42043.46平方米,绿地率为35%。

“三改”推进贵阳发展!城市更新动态来了

总建筑面积494375.57平方米,计容面积370126.73平方米(其中建筑面积370126.73平方米),不计容面积为124248.84平方米(其中建筑面积124248.84平方米)。

规划容积率3.08,绿地率35%,建筑密度21.2%,建筑栋数37栋,最高建筑高度79.05米,建筑最大层数27层,住宅户数为2834户,建总车位数3642个(其中室外车位354个,室内车位3288个)。

公建配套设施指标为:

“三改”推进贵阳发展!城市更新动态来了“三改”推进贵阳发展!城市更新动态来了

建筑高度调整前后对比:

“三改”推进贵阳发展!城市更新动态来了“三改”推进贵阳发展!城市更新动态来了

编辑:高春春

统筹:汪东伟

编审:干江沄